This is my last week on Gili Trawangan. Doesn’t feel like it if I am honest. Time literally flew by until this point and only now when I am due to leave I am finally feeling a little bit more settled. Irony.
Monday. I managed to catch up with all my overdue blogs and go through all the Lombok trip photos. I also finished listening to the “Hippy” by Paulo Coelho. That man travelled a lot! The day was relaxed and homey. My Keto has been on point since coming back so I am very pleased and I feel good.
Tuesday. My bf decided that he wants to complete his advanced open water course so we could do more elaborate dives together. As he went on to do his training I joined in for one dive on the site called the shark point. Mind you I have never seen a real shark before, few weeks ago we came across baby sharks while diving and it was already something. Anyway, so this dive was pretty fun, a lot of divers from our school, we descend to about 30 meters and boom. A wreck! I kinda forgot that apart of sharks in this dive site there is also a wreck. It was a nice surprise, wrecks are so interesting. I always see it in a bit of “Titanicy” (when the butters are opening the doors into the Titanic and then you see the real overgrown doors deep underwater) kinda way. I tried to take a decent photo of it, but in reality there were too many divers. Not to worry I will be back here soon I think. The dive proceeded further as my dive master buddy was on a look out for sharks for me. As luck had it we literally saw a couple of white tip reef sharks just sitting on the bottom. I called them mama and papa sharks, because as we approached the smaller (I thought mama) swam away and papa kept lazily sleeping. About 10 minutes later (I think I spent like 5 just to take some photos of the guy and I realised my GoPro photography issue! The lens is so wide I literally have to stuck the camera to the face of the fish to get a decent shot and obviously I did not want to do that with the shark…) we found a little cave where three baby sharks were sleeping out of sight and guess what, as I was saying hello to all of them the mama shark has arrived! It was pretty cute family moment. Also as I waved them goodbye I saw a little baby turtle just swimming by, which was also super cute and now as I write it I think hmm.. Would mama shark be hunting those? Anyway. The day was great, I got some food at a local cafe and edited some photos from the dive, was pretty happy. Also we are still on a Marvel movie marathon. 2 more down and a bunch more to go.
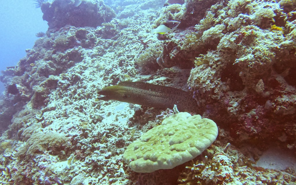
Wednesday. I woke up alone in bed. The bf was already gone to school. Had a nice little breakfast, got some reading in (I just started The Cows by Dawn O’Porter, it got me from the very first few minutes, really good!) and off I went for my 11.30am dive. It’s a nice feeling to have somewhere to go, almost like a gym routine, but underwater and feels less of a workout although did you know that with one dive you can burn up to 400 calories, +/- that is, depends if you carry your own equipment I think. Anyway, so I had another fun dive with my dive master buddy and this time had a seasoned Australian man joining in as well. He said he has been coming here for the past 20 years about 5 times a year. Must be good here hey? Of course I know it is good, lately I just lack enthusiasm, cause I’m a bit homesick. So today we were drifting along the Meno wall. It is literally a coral wall which goes all the way down to I don’t know how many meters. We were averaging 20. No sharks here, but some pretty puffer fish and a rather big box fish! It has such cute eyes! Like a Bratz doll, just no makeup. Very flirty. Got sight of some more turtles and a Moray eel, which was half way out of its cave. Don’t think I have seen one like that before as they usually stick out just the head. Maybe this one was feeling hot? Who knows, but the temperature of the water was 29 C, so pretty pretty warm. I am still breaking in my new fourth element dive suit so I was feeling nice and cosy, as if I was wrapped into a warm blankey and set loose in zero gravity. Diving is that awesome I tell you. If you want you can just float. It’s like a full body massage without anyone touching you. I mean all the beautiful stuff you can see really is just a bonus to the feeling of being weightless.
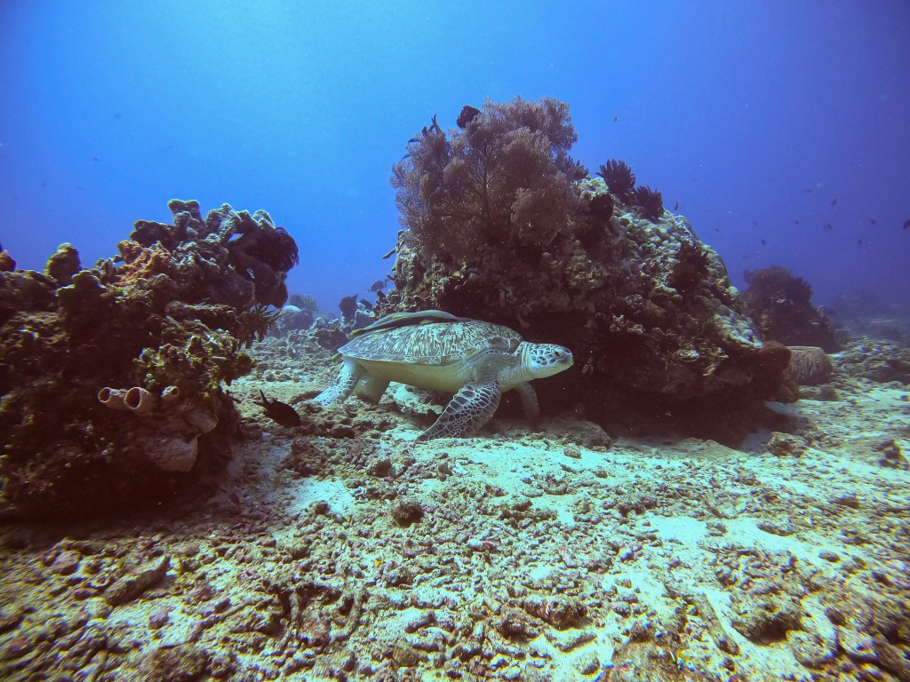
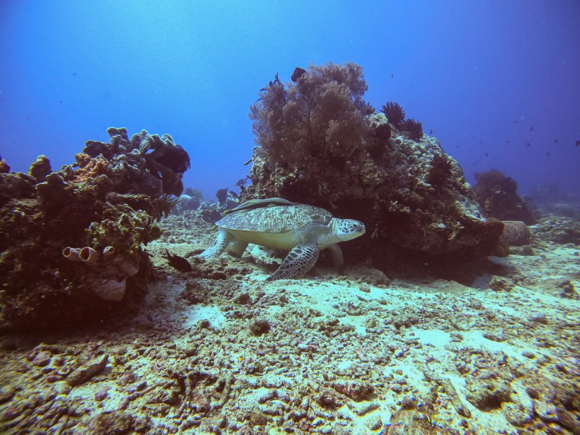
Thursday. As part of his advanced course the bf decided to do a Nitrox course too and since I have never done it in the past I signed up as well. We started the day bright and early for the course followed by two deep dives with Nitrox. First dive had us literally navigating through various coral hills. It was beautiful and fun. Although the deeper you go the darker it is so photography gets a little bit more challenging. The second dive was at the dive site called Halik. We both had done this site a few times already, but as it turns out it also has a deeper stretch. This is where we went. It was once again pretty, but my favourite part of it was a nice and long stretch in the shallow waters with sandy bottom and colourful coral reefs. We did our mandatory safety stop while exploring everything around. Saw a turtle scratching its back against the rock! How cool cool is that? I took a bunch of photos and goodness everything was so bright and colourful. So much fun! Also Nitrox is awesome! The freedom it gives to enjoy the deep waters for prolonged time is so rewarding. Glad I decided to do the course.
Friday. We chilled at home after all the dives and took the opportunity to enjoy our last days at the villa. It was also Valentines day so we celebrated with some Pizza and beer while watching more marvel. I know we are so classy.
Saturday. Originally we wanted to dive, but… I woke up with a weird pain in my lower back and since I had a kidney stone in not such distant past I was very cautious. Took it easy once again and did a lot of relaxing. We went out for a meal to this Vegan restaurant, which as it turns out was literally next door to our villa. I mean, it is a little bit ironic that we only just found it. Goes to show that we tend to overlook what’s right in front of you sometimes. Not sure how Keto my meals were, well the deserts were not at all I presume, but in my opinion if cheat on Keto with a desert it better be vegan as they usually include all the real ingredients and tend to be healthier. Correct me if I am wrong.
Sunday. Started with packing. Firstly, my big suitcase which contains life stuff. Basically everything from winter jackets and shoes to swimsuits and flip-flops. Second came my additional bag with dive gear. That one was quick. We waved goodbye our dive school and it was a bit emotional. Why is it when you leave a place all of the sudden everything looks better? Same goes to the island itself. It just looked that much more radiant and welcoming. The bf was really a hero arranging all the logistics of us leaving the island and booked a a private speedboat and a car which picked us up in Lombok port and delivered two hours later to our accommodation in Kuta. The travel was so swift and comfortable made me feel like a vip. Utterly grateful. Also had all this time to listen to my new book. The whole experience 10 out of 10. In the afternoon after we settled in we hoped by the local dive school to arrange our upcoming 3 day diving experience. All went well and made me so eager to get out there and see what the diving in Kuta will be like. Bring on the last week in Indonesia!
Highlights:
- Diving. Feeling weightless and seeing all the cool stuff. Perfection.
- During one of the dives saw a shell which represents the camino de Santiago on the bottom. Gave me nice warm memories.
- The Cows by Dawn O’Porter audiobook read by the author. Awesome!
- Travel from Gili Trawangan to Kuta Lombok. All the private arrangements for a very friendly price. Could not have asked for better service and once again thank you the bf.
- Adventure divers Lombok. Friendly, small, yet professional school.
Cheers with a glass of zero gravity elephant!

























