Week five was prety epic with all the travels and I am super happy about all the photos and videos I had a chance to make. GoPro is awesome, travelling is awesome, diving is awesome, so much to look forward to really.
Week 6 and 7 sort of merged into one very long week as it was mostly travelling in Bali with very limited internet, no laptop and pretty intense time on the back of the scooter. (The traffic in Bali is crazy!!) Anyway without much further ado here is a relatively quick summary of what I got up to in my last weeks living in the paradise.
Week 6:
Monday. Morning started with a fun dive with two of the friends from this big friend group visiting Gili Trawangan for a day. We went to one off my favourite sites here – the turtle heaven. As I keep writing here with every dive the conditions seem to be getting better and better. Visibility was over 20 meters for sure! The second dive we did with the whole friend group. For one of the girls it was the very first time diving, the other two had little experience so a lot of excitement was in the water. I have never dived with such a big group of people who I would actually know, so it was pretty fun just hanging out in the water. It was a bit colder and murkier in this dive site, but we still saw some cool turtles and a huge amount of fish. Great day. Great dive. A lot of photos to prove it.
Tuesday. Chill day at home listening to the audiobook, catching up with the CAOS, eating Keto foods and chatting to my mom. A bit of Acro yoga as well. Success.
Wednesday. More relaxing at home for me. More reading and watching CAOS. More eating comfort Keto foods and just settling into the homey vibe before our Bali adventures. Life feels slow and easy. It is a calming feeling. Especially with everything else what is going on in the world. The corona virus which started in Wuhan in China seems so much closer to home and personal than any other virus before it. Having friends who are actually effected by it added an extra perspective. My next project is due to begin in March in Bangkok and even that became an uncertainty of sorts. What happened to Kobe Bryant and other families involved in the horrific accident just goes to show that nothing is ever certain, no matter how successful or privileged you might be. I have been raised religious, but somewhere along the way I strayed and preferred to identify as spiritual instead. In my opinion the belief is some what one and the same, but through generations we chose different names and labels for it. However in the times of uncertainty it would be so comforting to know that someone’s got your back.
Thursday. Three of us once again took a boat to Bali. For some reason the only tickets to Bali we could find were priced at 250k rupees per person, but it also included a bus ticket to Denpasar. We didn’t need it as the intention was to rent a scooter, but as I said, there was no choice. The boat journey was tedious and I decided that no way I want to repeat it again any time soon. Perhaps I will fly to Malaysia from Lombok. Once we arrived the weather slowly started turning into a medium rain and once the bf has secured a scooter for us it fully transformed into full blown monsoon! I mean it was pouring so, that stepping outside was not even an option, let alone scootering towards the mountains as we wanted. Also I had accommodation booked there for us. One of the life lessons, not to plan too far ahead, even if it is your bed for the following night. We sat in a local warung style cafe drinking lemon tea, in my case, and having some comfort foods till dark. The rain never stopped. I managed to get some decent progress on the Michelle Obamas Becoming I was listening to and considered the day a success in all the unexpected enduring ways. We checked into a homestay literally next door to the cafe and it was the first place we stayed at without me booking it through booking.com. Our room looked like it was converted from bathroom as the tiles were everywhere, on the floor, walls and probably ceiling, that I can no longer recall. Anyway at least the dad got a better room with the balcony at arms reach. That gave me a bit more comfort. At least one of us had a chance at a better experience. We went to sleep with the hope that the rain will stop by the morning and we will finally be able to proceed with our Bali road trip.
Friday. Huray. The rain was gone, the roads were dry and sun was shining. We set off on almost 2 hours journey all the way to the base of mount Batur. It was a nice picturesque drive. Got some durian on the way. The tase of it started growing on me. Not a very Keto fruit though. Also prices seemed way friendlier here than in Lombok and much much friendlier than on the Gilies. Something I haven’t really thought of much before, because “I am so rich”, but a very pleasant surprise. We drove to the place which I had booked for the previous night, but didn’t make it and we were even more surprised and humbled that the owner let us stay in the place for the night without the charge. Such a nice guy and the place – “Triangle house”. Simple clean and very close to the mountain. We took a “walk” almost all the way to the top, just on our own. We were asked many many times by all sorts of passers by whether we were hiking the mountain, because they wanted to sell their services of guidance or tickets for the hike. It is a thing there, everyone will always claim that it is dangerous to go aloe and will have some horror story to follow with it. Also we were presented by a number of various looking tickets saying that this is something you must purchase in order to go. Well we just walked and walked and the path was relatively easy, although I was pretty drenched at times and we have reached some sort of a hut whited looked about half an hour hike from the top. The dad in his 70s did not feel like going up more and although me and the bf walked a little further decided to stop too. Another life lesson was learned. The view at the point of where we were would have not been that more different from the top and although we both knew we could reach it for the sport of it, did not want the dad to wait too long and essentially we didn’t deem the top worth it. Something new for me as I have a very competitive spirit. Learning new things every day it seems. We came back down in a matter of half an hour which took us almost 2 hours to climb and went for some local food. For the first time I have seen the locals throwing some sort of techno pop party accompanied by what seemed like a lot of alcohol or at least drugs. Otherwise I am not sure how on earth they managed to keep dancing through out our whole dinner time there with such loud music. Strangely it made me feel a little bit like being back home in a countryside where people drink and listen to loud music during the day as there is nothing else to do. We did wrap our evening up at the Triangle house with some rice wine and corona virus conversations. The “shit” started getting even more real by then.
Saturday. We scootered back to Padangbai where the dad was taking the bus from to go to Denpasar as he was flying out the next morning and we did the same trip on the scooter. Somewhere along the way I managed to loose my only warm fleece I have taken with me on this trip, although I didn’t know it just yet. (Sad sad sad). We were staying in Canggu area and it was my pretty much first impression of Denpasar, because before that I have only seen the airport. To my surprise it seemed very much like some London hipster area, but in a warm climate. Everything around seemed kinda vegan, western and all the way hipster, starting with foods on menus, gyms or yoga studios on every corner and people. So many foreign people!!! Non the less having spend over a month in a pretty remote island it felt pretty exciting to feel some more action and civilisation around. We went out for dinner with some of bfs friends who literally escaped Shanghai a week earlier and after proceeded to a skate park bar. It was a fun night which felt like it could actually have been anywhere else in Europe in cities like Berlin or Amsterdam or London if not for the tropical climate. We also went to a night club and danced till 4 am. Something I have not done in forever. Overall he day was once again a success.
Sunday. We waved the dad goodbye at 6 am as he took his taxi to the airport. From now on we will be travelling alone and returned to catch more zzzz’s. At about 10am the Bf insisted that he didn’t need more sleep as he has a superpower of not needing any after a night out and after a two quick stops for breakfast, one vegan for the bf and one Keto for me (vegan food is practically never Keto as everything is very high in carbs, so after a vegan restaurant we had to go to a non vegan one so I could eat something) we decided to scooter all the way north through the mountains towards Lovina beach. It took us over two hours I think and a lot of stress and navigation as the traffic was heavy. Not just with cars, but tour buses all trying to navigate narrow serpentines. Landscapes around were beautiful, but I am not sure I would like to do the same trip again with all this traffic. Anyway. In the late afternoon we checked in at a very cosy place with incredibly challenging name “Pondok Wisata Elsa 2”. The host was very welcoming, the place was really beautiful and prices very friendly. She also helped us book a dive trip for the next day through one of her friends at a very reasonable price and a dolphin watching trip first thing in the morning. As we have learned on arrival the whole area is known for dolphins and a dolphin is the symbol for the town. Pretty cute if you ask me.
Week 7:
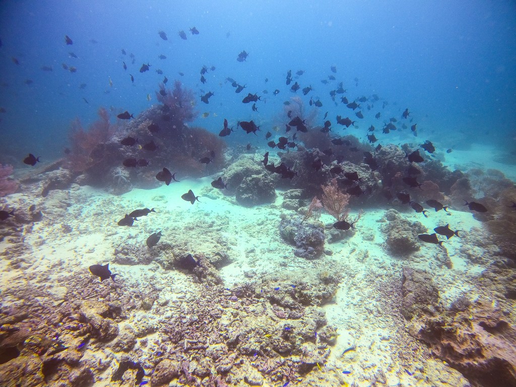
Monday. We woke up and it was still dark. First time for me in this country for sure. As it turns out if you want to go to see dolphins “run” you have to do it before sunrise. To be honest, I did not have many expectations for this particular trip as all I really wanted was to go diving. However it really surprised me in a good way. Firstly, seeing the sunrise while being out in the see was very beautiful. Secondly, when I saw all the small boats racing towards any sight of dolphins and a community spirit it brought as all the boat captains talked to each other and no doubt had their own unique tactics where to position in the water and how to actually run with the dolphins turned out to be the unexpected fun for me. What followed next was an annoying realisation that we got scammed the day before while exchanging money and now didn’t have enough to pay for our dives. Well, ATM to the rescue. Just over an hour later we reached our diving destination of the far west coast of Bali. Dive destination being the national park around Menjangan island, otherwise called a deer island. It really was, as the deer were roaming free everywhere. Pretty cool. Also the dives were very beautiful. Full of huge colourful corals and fish everywhere. Definitely much better than the Gili Islands and actually the best one so far in general for me. The downside was the “cheaper” guided services we paid I think. Not sure how it would have been if we would have gone with the proper school or a decent dive master, but the guy taking us on the dive did not seem to have cared about us much. At one point the current got really strong and literally swept my bf up to the surface, the guy was nowhere to be seen and I was very glad I had my rescue training done as I actually got to use it. Apart of this little incident both dives were really beautiful. We scootered to the town call Negara after all the dives and decided to stay there as it seemed more practical for our journey back to Denpasar the following morning. We settled in a town hotel which we found through booking.com, but the owner offered a better price in person so we stayed there without booking it through the app. In the evening as we went out to get some water we stumbled across a mall which had a floor with various arcade games. We literally went all kid crazy in there. It was so much fun. Unfortunately or maybe fortunately we had no phones or GoPro as we thought we were just going for a quick trip to the supermarket so there are zero photos to prove the fun we had and it actually makes it even more fun.
Tuesday. Three hour drive into Denpasar. Safe to say I would not want to do that any time soon. Glad I won’t have to. The Bf did deliver me in time for my laser appointment at noon, so I was grateful. We checked into what looked like a surfers hotel after, took a well deserved power nap and went for my bfs first pilates reformer class right here in Bali. It was great. I love reformer and it was so nice to finally be able to share the experience. After the class we took a quick shower (yes the class was intense we broke a lot of sweat) and as we were leaving we stumbled across the zero waste shop! We went a little crazy there with the shopping. It was fun and getting my hands on Psyllium husk felt very rewarding. Wanted to try it for a while! In the evening we went to the cinema to see bad boys for life. To be honest the film would have not mattered that much, I just really wanted the experience and goodness. Asia does know how to do cinema right. For one, tickets are pretty cheap. Standard seats are like 50k rupees which is not even 3 British pounds. Bargain! But also prompted us to try the premium seats, which were at double the cost. Little did we know that going premium meant catching the same movie at a different screen altogether, where every seat was like the best lazyboy chair you have ever sat on. I mean, I have visited some of the nicest cinemas in London and they are nothing compared to this. The screen was big, the sound was great, the seat was incredibly comfy with a complimentary blanket and we could have ordered food there too if we wanted to, but we arrived full. I mean Bali raised may movie experience standards for sure. And all of it for the price of nearly 7 pounds. This in London for one is not even possible, for two would have cost minimum 20 pounds and you would have to book it in advance as there is clearly a demand for a comfortable film watching experience. Anyway. The we also enjoyed the movie. Great evening, great day.
Wednesday. Quick breakfast at a vegan restaurant. (Remember how I said keto in the vegan restaurant is not easy) I had a seitan steak as essentially it is just wheat protein and was hoping it will not kick me out of ketosis. It was delicious, but I have been playing with the idea that I might not be very gluten tolerant as I had to cut out pasta from my diet way before keto due to not feeling well after consuming it. I decided to experiment with the steak and I am pretty sure now that my tolerance to gluten is definitely not all the way there. I felt nauseous and weak and definitely not ready for the river rafting we had planned with friends shortly after. I can’t really recall where exactly we started as I was a bit hazy, I know it was Ubud, going down the stream for two hours with a rafting guide guy who kept singing the most annoying songs. Nature around was beautiful, I was feeling kinda sick and was just hoping that the guy would finally stay quiet for a bit and let us enjoy the surroundings. In the end it was all good and I appreciate the experience, but seitan steak or no steak, I would probably choose a different company or the guide to do it with if I had to do it again. After that we scootered all the way to Sidemen, which is a village north of Padangbai in the frosty mountains. We stayed at the place called the Sweet escape and it was indeed sweet. Very remote, beautiful views, peace and quiet. Unfortunately we have arrived just at the time of sunset so we didn’t have much time to enjoy it in the light of day, but non the less it left an impression.
Thursday. Another beautiful morning scooter ride through the mountains towards Padangbai. The journey was much faster than we though, we returned our scooter got a quick tea in and headed off for our boat home. Going back to Gili Trawangan felt like home for sure. The boat ride was surprisingly quick, just over 1.5 hours, the boat was also so much nicer. I almost finished listening to my book on the way and felt pretty great overall. We stocked up with some food supplies after arriving as we intended not to leave home for a while.
Friday. Was such a chill day, I think all of my lack of sleep and sitting on the back of the scooter finally caught up with me, because I went for an afternoon nap and woke up the next day.
Saturday. I felt kinda refreshed after my almost 20 hour sleep stunt, but not enough to actually go somewhere and the good thing about not working is that you don’t actually have to do anything if you do not feel like it. HEHE
Sunday. I did end up doing some work for the upcoming show, but that made me feel accomplished and I kinda needed it after days of laying in bed and listening to books. We went out on a dinner date in the evening and I wore mascara for the first time in what feels like forever. Also this time I had an animal steak and it made me feel good. Had lemongrass tea which we infused with some gin and it is a very solid combination! I tap my bartending days self for coming up with it. We spent the evening starting Marvel movie marathon. Two films down, way more to go!
Those two weeks have been intense with travel, with new people, emotions and feelings. I am so grateful and overwhelmed by everything I have a privilege to experience and every day I wish I could share it with my family and all the loved ones, because life is not worth living if you are alone in it. My Indonesian adventures are soon to come to an end and I just want to send out a big heartfelt thank you into the universe for everything I have experienced so far and am yet to experience some time in my given future. LOVE.
Highlights:
- The whole Bali trip!
- The peace and quiet at home listening to audiobooks and watching movies.
- The cinema experience in Denpasar!
- Reformer Pilates! I found out that it is possible to take reformer classes online? How crazy is that! Might use it one day!
- Zero waste shop! YES YES YES!
- Audiobooks! Changed my life.
- Diving!
- I got myself a dream catcher! One of the things I intend to keep with myself when travelling for that homey feeling 🙂
Cheers with the glass full of grateful elephant!




















